Bauland Gondiswil

Die Gemeinde Gondiswil verfügt aktuell über eine gemeindeeigene Baulandparzelle, welche zum Verkauf steht.

 

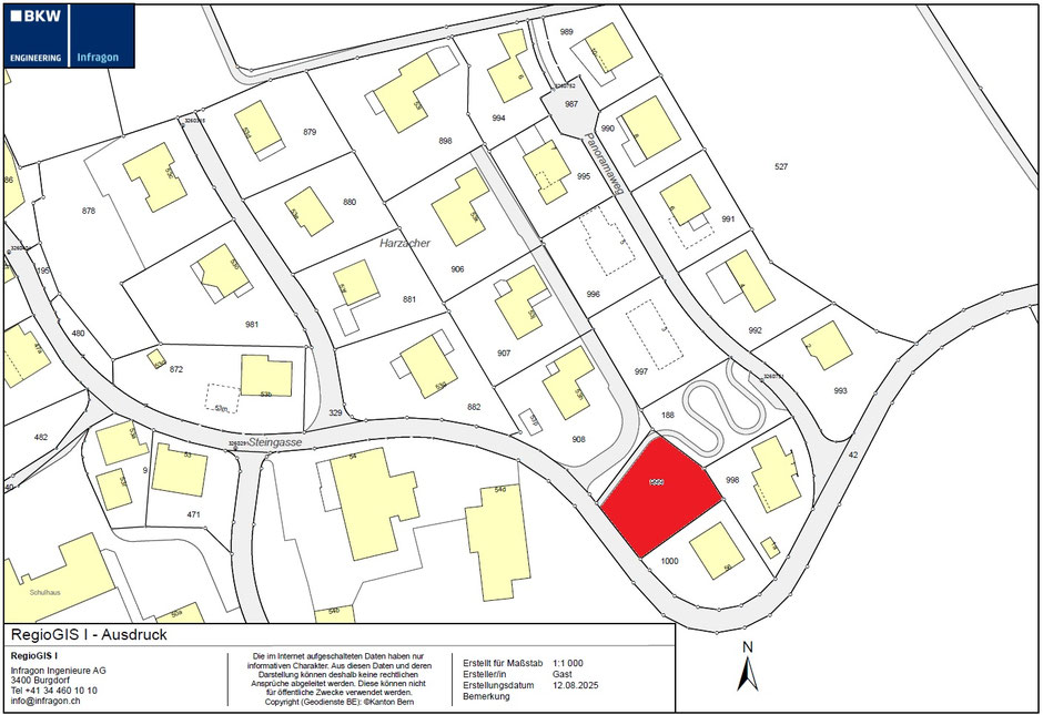
Parzelle Nr. 999, 623m2, Wohnzone 2-geschossig, ZPP1 Harzacher

 

Verkaufspreis: CHF 175 pro Quadratmeter

 

Bei Interesse können Sie sich bei der Gemeindeveraltung melden.

Google Maps: LINK

Download
ÖREB Kataster Parzelle 999.pdf
Adobe Acrobat Dokument 844.2 KB
Download
Überbauungsplan Harzacher
ueberbauungsplan harzacher.pdf
Adobe Acrobat Dokument 1.5 MB
Download
Überbauungsvorschriften Harzacher
ueberbauungsvorschriften harzacher.pdf
Adobe Acrobat Dokument 7.0 MB
Download
Baureglementsanpassung ZPP Harzacher
Änderung Baureglement - ZPP Harzacher.pd
Adobe Acrobat Dokument 71.5 KB